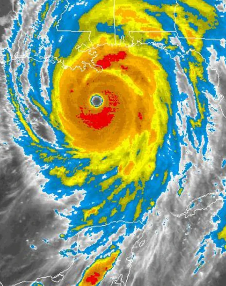
شهدت جزيرة جامايكا في أكتوبر 2025 حدثًا استثنائيًا مع اقتراب إعصار ميليسا، المصنف ضمن الفئة الخامسة الأعلى على مقياس الأعاصير، والذي بلغت سرعة رياحه نحو 281 كيلومترا في الساعة، في رقم غير مسبوق بتاريخ الجزيرة الكاريبية.
وصفت المنظمة العالمية للأرصاد الجوية الإعصار بأنه "عاصفة القرن"، بينما حذر المركز الوطني للأعاصير من فيضانات مدمرة تهدد الأرواح وتعيد إلى الأذهان مشاهد الكوارث الكبرى التي شهدها العالم خلال القرون الماضية.
الإعصار العظيم 1780 الأعنف في التاريخ
تعد كارثة الإعصار العظيم عام 1780 الأكثر فتكًا في تاريخ المحيط الأطلسي.
ففي 9 أكتوبر 1780، تحولت الأجواء المعتدلة في جزيرة باربادوس إلى جحيم من الرياح التي تجاوزت سرعتها 322 كيلومتراً في الساعة، ما أسفر عن مقتل ما بين 20 و27 ألف شخص.

دمرت العاصفة الجزيرة بالكامل، حيث لم يبقي سوى "الطين والحطام والماشية النافقة"، فيما اجتاحت أمواج بارتفاع سبعة أمتار جزر مارتينيك وسانت لوسيا وسانت يوستاتيوس، وغرقت أساطيل بحرية بريطانية وفرنسية كاملة في عرض البحر، لتخلد هذه الكارثة كأشد إعصار قاتل في التاريخ الحديث.
كارثة غالفستون 1900 مأساة الولايات المتحدة
وفي الولايات المتحدة، لا يزال إعصار غالفستون الذي ضرب ولاية تكساس عام 1900، يصنف كأكثر الأعاصير فتكاً في تاريخ البلاد.
فقد اجتاح الإعصار المدينة في 6 سبتمبر 1900 برياح قوية وأمواج عاتية أودت بحياة ما بين 6 إلى 8 آلاف شخص.
أعاصير خارج الأطلسي
لم تقتصر الكوارث على الأطلسي، إذ شهدت آسيا أعاصير أكثر فتكا من حيث عدد الضحايا.
ففي عام 1970، ضرب إعصار بولا شمال شرق الهند وشرق باكستان (بنغلاديش حاليا)، مخلفا أمواجا بلغ ارتفاعها أكثر من 10 أمتار، وأودى بحياة نحو 500 ألف شخص، ليصبح من أكثر الأعاصير دموية في التاريخ الإنساني.
كاترينا وميتش الأعاصير الأغلى ثمنا في التاريخ
من حيث الدمار المادي، تتصدر أعاصير كاترينا (2005) وهارفي (2017) وميتش (1998) قائمة الأعاصير الأكثر كلفة في العالم.
فقد تسبب إعصار كاترينا في تدمير ما يصل إلى 300 ألف منزل في جنوب شرق الولايات المتحدة، وغمرت الفيضانات نحو 80% من مدينة نيو أورليانز بعمق وصل إلى ستة أمتار.
بلغت الخسائر الإجمالية نحو 201.3 مليار دولار (وفقاً لتقديرات 2024 المعدلة للتضخم)، ليصنف كأغلى إعصار في تاريخ أمريكا، يليه إعصار هارفي بخسائر وصلت إلى 160 مليار دولار.
ميليسا بداية فصل جديد في سجل الأعاصير
مع تصاعد شدة الأعاصير عاماً بعد عام، يأتي إعصار ميليسا ليذكر العالم بأن تغير المناخ لا يزال عاملا أساسيا في تفاقم الكوارث الطبيعية.
ويرى خبراء الأرصاد أن هذا الإعصار ربما يشكل منعطفاً تاريخياً في دراسة أنماط الأعاصير الأطلسية، مؤكدين أن ما شهدته جامايكا قد يكون جرس إنذار جديدا يدعو العالم للاستعداد لعواصف أشد قسوة في المستقبل القريب.

